Close Menu
elhilo.com.mxelhilo.com.mx

    Suscríbete a las actualizaciones

    Suscríbete para recibir las últimas actualizaciones y contenidos exclusivos, directamente en tu bandeja de entrada.

    En tendencia

    Evita Multas: Hoy No Circula Sabatino en CDMX y Edomex Este 18 de Abril

    April 17, 2026

    Megapuente de 6 días en mayo: Fechas confirmadas por la SEP

    April 17, 2026

    Santos Laguna y Atlas: Cómo y dónde ver el emocionante duelo de la Jornada 15

    April 17, 2026
    Facebook X (Twitter) Instagram
    Trending
    • Teotihuacan: el agresor actuó solo y creía estar influenciado por fuerzas del más allá, según la Fiscalía del Edomex
    • Martes de Protestas y Eventos en CDMX: IPN, The Weeknd y Fútbol en CU
    • Más de dos días de emoción continua
    • Interacademias 2026: El balón rodará el 28 de abril en el Club Deportivo Muralla
    • Alertan por lluvias intensas, viento y granizo en varias regiones
    • Los restaurantes más exclusivos de la CDMX y cómo asegurarte una mesa
    • Fuertes lluvias y vientos de hasta 39 mph afectan la región
    • Hematoma subdural: La lesión que aparta a Lupita Villalobos del ring
    Facebook X (Twitter) Instagram
    elhilo.com.mxelhilo.com.mx
    • Nacional
    • CDMX
    • Entretenimiento
    • Internacional
    • Deportes
    • Tendencias y redes sociales
    • Opinión
    • Vídeos
    elhilo.com.mxelhilo.com.mx
    Home » Más de dos días de emoción continua
    Internacional

    Más de dos días de emoción continua

    REDACCIÓN EL HILO MXBy REDACCIÓN EL HILO MXApril 21, 2026No Comments3 Mins Read
    Share Facebook Twitter Pinterest LinkedIn Tumblr Reddit Telegram Email
    Share
    Facebook Twitter LinkedIn Pinterest Email
    En esta noticia Clima severo en California: alerta y recomendaciones de seguridad

    El clima de primavera que todos esperábamos en California parece haber sido interrumpido por una poderosa tormenta que afecta el norte y centro del estado. Autoridades y residentes se encuentran en estado de alerta ante la llegada de este sistema climático que traerá consigo un “combo” de fenómenos meteorológicos severos.

    Este fenómeno, que se perfila como uno de los últimos episodios de la temporada de lluvias, no llega solo. Se anticipa la ocurrencia de inundaciones, granizo y la posibilidad de tornados aislados en áreas como el Valle de Sacramento.

    Así será el clima en California

    Según informes meteorológicos recientes, los próximos días en California deberán ser seguidos con precaución:

    • Lluvias intensas: Se esperan acumulaciones de entre 0.50 y 1.50 pulgadas de agua en la mayor parte de la región, mientras que en las montañas la cifra podría alcanzar hasta 4 pulgadas. Este riesgo aumentará especialmente para aquellos que trabajan al aire libre o realizan viajes largos, con posibilidades de inundaciones repentinas y flujos de barro.
    • Nieve en la Sierra Nevada: Si tienes planes de viajar por la I-80 o atravesar el Donner Pass, mantente alerta. Se prevén hasta 16 pulgadas de nieve (e incluso más de 2 pies en las cimas más elevadas), lo que podría hacer que las carreteras se vuelvan resbaladizas y peligrosas.
    • Tormentas eléctricas y granizo: Los días más críticos serán el martes y miércoles. Espera fuertes truenos y posibles granizos del tamaño de una canica.

    Implicaciones del clima severo

    Si bien California necesita urgentemente el agua, la fuerza de este sistema puede ocasionar serios inconvenientes en el transporte y la seguridad en el hogar. Se recomienda no subestimar las condiciones meteorológicas y establecer planes adecuados.

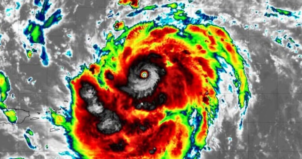
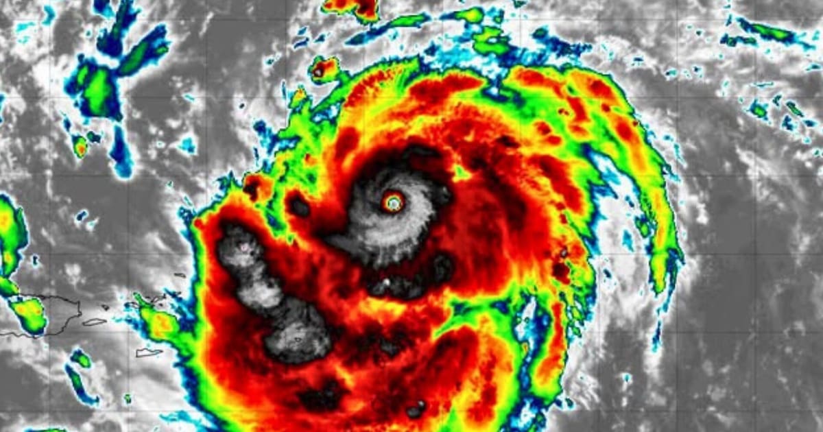
    Impacto del clima en California.

    Consejos de seguridad ante el clima severo

    Para mantener la seguridad durante esta tempestad, considera los siguientes consejos prácticos:

    • Revisa los desagües: Asegúrate de que las canaletas y desagües de tu hogar estén limpios para prevenir filtraciones y acumulación de agua.
    • Kits de emergencia: Lleva un kit de emergencia en tu vehículo, especialmente si resides en zonas montañosas. Asegúrate de incluir mantas, agua y cadenas para neumáticos.
    • Mantente informado: Las condiciones climáticas pueden cambiar rápidamente. Sigue los informes del clima para estar al tanto de cualquier actualización.
    • Precaución con tornados: Aunque estos fenómenos son poco comunes en California, no son imposibles. Esté preparado para actuar rápidamente si detectas condiciones favorables.

    Afrontar las inclemencias del tiempo es vital. Mantente a salvo y toma las precauciones necesarias ante este clima severo.

    continúa días dos emoción más
    Share. Facebook Twitter Pinterest LinkedIn Tumblr Email
    Previous ArticleInteracademias 2026: El balón rodará el 28 de abril en el Club Deportivo Muralla
    Next Article Martes de Protestas y Eventos en CDMX: IPN, The Weeknd y Fútbol en CU
    REDACCIÓN EL HILO MX
    • Website

    Related Posts

    Nacional

    Teotihuacan: el agresor actuó solo y creía estar influenciado por fuerzas del más allá, según la Fiscalía del Edomex

    April 21, 2026
    CDMX

    Los restaurantes más exclusivos de la CDMX y cómo asegurarte una mesa

    April 21, 2026
    Internacional

    Fuertes lluvias y vientos de hasta 39 mph afectan la región

    April 21, 2026
    Add A Comment
    Leave A Reply Cancel Reply

    Lo más destacado

    Evita Multas: Hoy No Circula Sabatino en CDMX y Edomex Este 18 de Abril

    April 17, 20263 Mins Read

    Megapuente de 6 días en mayo: Fechas confirmadas por la SEP

    April 17, 20263 Mins Read

    Santos Laguna y Atlas: Cómo y dónde ver el emocionante duelo de la Jornada 15

    April 17, 20262 Mins Read
    Mantente en contacto
    • Facebook
    • YouTube
    • TikTok
    • WhatsApp
    • Twitter
    • Instagram

    Suscríbete a las actualizaciones

    Suscríbete para recibir las últimas actualizaciones y contenidos exclusivos, directamente en tu bandeja de entrada.

    About us
    About us

    Elhilo.com.mx es un medio digital líder con sede en la Ciudad de México, dedicado a ofrecer análisis precisos y oportunos sobre política, sociedad, justicia, tendencias y deportes. Con un enfoque claro en las historias humanas y el contexto que las rodea, vamos más allá del titular para brindar profundidad, relevancia y claridad en cada contenido.

    En tendencia

    Lo Mejor de la Sarca Biker en Fotos y Videos Virales

    March 20, 2026290 Views

    Mujer se precipita desde el décimo piso de la Torre Reforma Latino

    March 20, 2026180 Views

    Hoy No Circula este sábado 21 de febrero en CDMX y Edomex

    February 21, 2026143 Views

    Suscríbete a las actualizaciones

    Suscríbete para recibir las últimas actualizaciones y contenidos exclusivos, directamente en tu bandeja de entrada.

    Facebook X (Twitter) Instagram Pinterest
    • About Us
    • Contacto
    • Aviso de Privacidad
    • Términos y Condiciones
    • F&Q
    • Disclaimer
    © 2025 ELHILO.COM.MX. All Rights Reserved.

    Type above and press Enter to search. Press Esc to cancel.